MEIN ERGEBNIS ANPASSEN

Idyllisch und zentral: Baugrundstück in begehrter Wohnlage - Objektnr. 5588729

3423
Ort
662,00 m²
Fläche

ECKDATEN
FindMyHome.at // Externe Immobilien-ID5588729 // 79763
ImmobilienartGrundstück - Eigentum
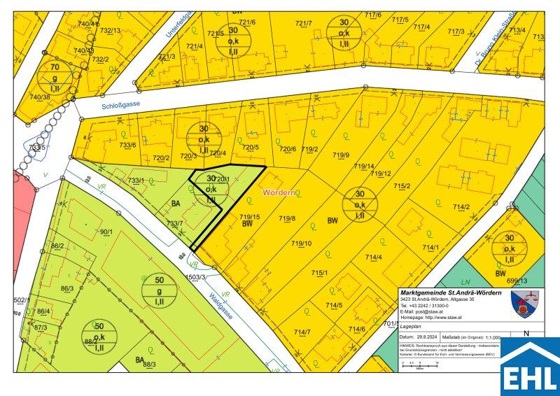
AnschriftUntere Waldgasse
3423 St. Andrä-Wördern
Grundfläche662,00 m²
Kaufpreis:€ 359.000,00
Ratenzahlung:Finanzierungsmöglichkeiten für diese Immobilie anzeigen
Provision:







BESCHREIBUNG

Idyllisch und zentral: Baugrundstück in begehrter Wohnlage

Ein Ort zum Träumen: Baugrundstück mit Charakter und Potenzial in St. Andrä-Wördern

Willkommen an einem Ort, der Urbanität und Rückzug auf harmonische Weise vereint. Dieses charmante Baugrundstück im Herzen von St. Andrä-Wördern bietet Ihnen mit seinen 662m² nicht nur Raum zum Bauen sondern auch Raum zum Leben, Wachsen und Ankommen. Eingebettet in eine ruhige Umgebung und dennoch bestens angebunden, ist es der ideale Platz für Ihr ganz persönliches Wohnprojekt.

Verwirklichen Sie Ihre architektonischen Visionen in offener oder gekuppelter Bauweise und genießen Sie dabei ein Höchstmaß an Privatsphäre. Die Zufahrt zum Grundstück erfolgt über eine private Fahne mit 3,5Metern Breite und 29Metern Länge großzügig genug, um auch größere Fahrzeuge bequem zu manövrieren. Ein besonderes Plus: Die Bebauung grenzt an eine Feuermauer zum Nachbargrundstück, was Ihnen ein geschütztes, uneinsehbares Wohngefühl garantiert.

Auf dem Grundstück steht derzeit eine alte Scheune ein Relikt mit Geschichte, das entweder Platz für Neues schafft oder kreativ in Ihr Bauvorhaben integriert werden kann. Ob Rückzugsort, Familiennest oder moderne Oase: Hier entsteht mehr als ein Haus hier entsteht ein Zuhause.

 

Grundstücksmerkmale

  • Fläche: 662 m²
  • Bebauung: 30% ermöglicht eine Bebauung von bis zu 198,6 m²
  • Bauklasse: I bis II
  • Bauweise: Offene und gekuppelte Bauweise
  • Erschließung: Bereits als Bauplatz gewidmet, jedoch noch nicht aufgeschlossen
  • Ergänzungsabgabe: Fällig bei Bebauung in Bauklasse II

 

Perfekte Infrastruktur und hervorragende Anbindung

Die Lage dieses Grundstücks bietet eine exzellente Infrastruktur und kurze Wege für den täglichen Bedarf:

  • Einkaufsmöglichkeiten, Gastronomie, Ärzte sowie Kindergarten und Volksschule sind bequem zu Fuß erreichbar.
  • Nur 7 Gehminuten bis zum Bahnhof, von wo aus Sie eine schnelle Anbindung nach Wien genießen.
  • 20 Minuten mit der Bahn zur U-Bahn-Station Heiligenstadt (U4) und damit eine direkte Verbindung ins Wiener Stadtzentrum.
  • 45 Autominuten ins Wiener Stadtzentrum, ideal für Pendler oder gelegentliche Städtetrips.

 

Nutzen Sie diese seltene Gelegenheit, sich ein Grundstück in einer begehrten und ruhigen Wohngegend zu sichern. Profitieren Sie von der perfekten Mischung aus zentraler Lage und idyllischer Ruhe und gestalten Sie Ihr Traumhaus nach Ihren individuellen Vorstellungen. Zur Anregung finden Sie hier zwei Bebauungskonzepte.

Provision: 3% des Kaufpreises zzgl. USt.

Wir weisen darauf hin, dass zwischen dem Vermittler und dem zu vermittelnden Dritten ein familiäres oder wirtschaftliches Naheverhältnis besteht.

Der Vermittler ist als Doppelmakler tätig.


Infrastruktur / Entfernungen

Gesundheit
Arzt <500m
Apotheke <1.000m
Krankenhaus <6.500m
Klinik <4.750m

Kinder & Schulen
Schule <750m
Kindergarten <500m
Universität <4.000m

Nahversorgung
Supermarkt <500m
Bäckerei <500m

Sonstige
Bank <500m
Geldautomat <500m
Post <500m
Polizei <1.000m

Verkehr
Bus <250m
Autobahnanschluss <5.500m
Bahnhof <750m
Flughafen <7.250m

Angaben Entfernung Luftlinie / Quelle: OpenStreetMap

Provision: 3% des Kaufpreises zzgl. 20% USt.


Alle Details anzeigen

KONTAKT






 

Lasse dich kostenlos vom Anbieter dieser Immobilie zurückrufen.







 


 
EHL Wohnen GmbH
Ilse Reindl
Telefonnummer anzeigen Telefon Allgemein: +4315127690410
Handy Bearbeiter: +4366488160143
 
Bitte dem Makler die FindMyHome.at - ID bekanntgeben: 5588729

Bewertungen dieses Anbieters
Qualitätsmakler
Qualitätsmakler:
Netiquette
Freundlichkeit
82 %

BEWERTUNGEN DIESES ANBIETERS

 
Qualitätsmakler
UNSERE HALL OF FAME DER BESTEN ANBIETER
Qualit�tsmakler
Qualitätsmakler
2012, 2013, 2014, 2015, 2016, 2017, 2018, 2019, 2020, 2021, 22/23, 2024, 2025
Weiterempfehlung
WIRD GERNE

Freundlichkeit
BESONDERS
FREUNDLICH
Netiquette
FINDMYHOME
NETIQUETTE
Auch du kannst bewerten! 7 Tage nach deiner Anfrage erhältst du dafür von uns ein Bewertungsmail.
Alle Infos zu unseren Auszeichnungen und dem FINDMYHOME.AT Qualitätsprogramm findest du hier: Übersicht anzeigen

FINANZIERUNG
?>

Du willst wissen, wie viel dein Umzug kosten wird?

Mach gleich den kostenlosen Preisvergleich und schau, welche seriösen Anbieter in deiner Region günstig deinen Umzug organisieren


ZUM UMZUGS-VERGLEICH
-->

MYHOME BLOG
SuchAgentin auf FindMyHome.at
Unterschiedlichen Rechtsthemen, köstliche Rezepte, neueste Design-Highlights, sowie aktuelle Technik-Tools für Ihr Eigenheim.


FINDMYHOME.AT SUCHAGENTIN
SuchAgentin auf FindMyHome.at
Hallo, soll ich dir ähnliche Immobilien kostenfrei per E-Mail schicken?


Durch die Nutzung unserer Seite erklären Sie sich mit der Verwendung von Cookies zur Verbesserung Ihres Online-Erlebnisses einverstanden. Detaillierte Informationen zu diesem und weiteren Themen erhalten Sie in unserer Datenschutzerklärung.